Catastro y Registro de propiedad


Realizamos todo tipo de trámites ante Catastro y el Registro de la Propiedad, entre las que destacamos:

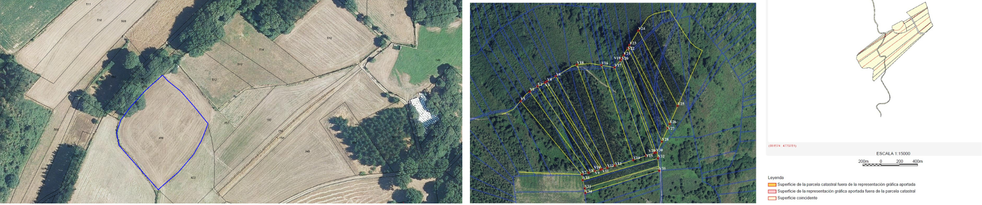
  • Regulaciones Catastrales: Subsanación de discrepancias, creación de archivos GML e informes de validación gráfica, agrupaciones y segregaciones de parcelas, cambios de titularidad, presentación de escritos y contestación de alegaciones, etc.
  • Todo tipo de trámites en el Registro de la Propiedad
  • Tasación de fincas rústicas
  • Informes periciales de procedimientos judiciales
  • Gestión de herencias: Investigaciones sobre propiedad, valoración de propiedades, propuestas de reparto equitativo, presentación de impuesto de sucesiones, etc.